Description
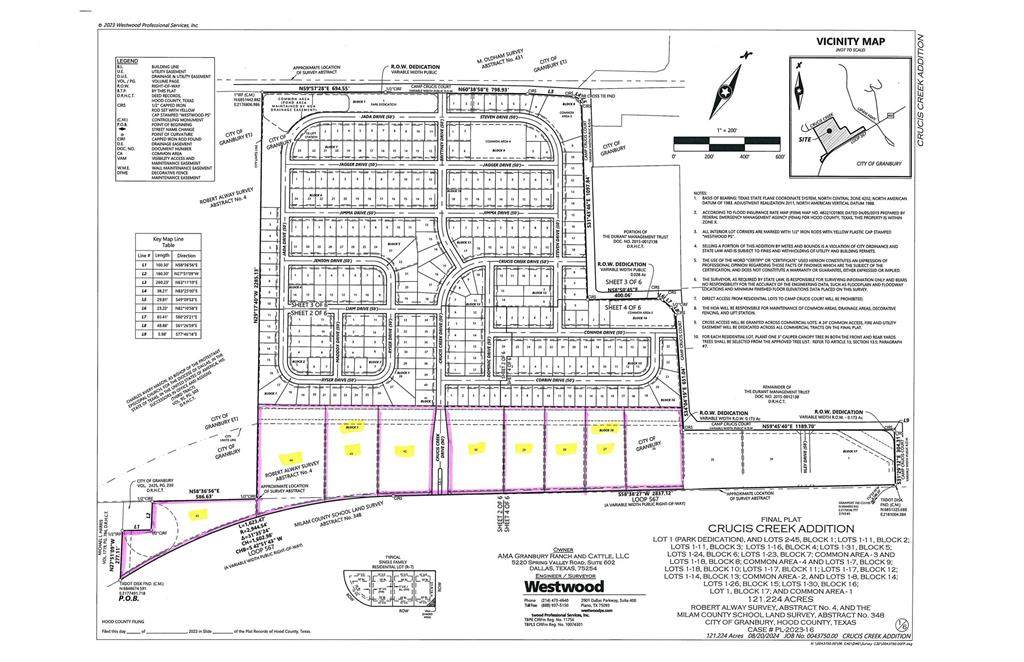
This commercial lot has double frontage on Loop 567 as well as Camp Crucis Ct. and is part of a recently platted Subdivision known as Crucis Creek Addition. There are 305 SINGLE FAMILY LOTS platted immediately behind this property WHICH IS AVAILABLE AS WELL. This location is grandfathered for City water and sewer.
-
0BEDS
-
2.52ACRES
-
0BATHS
-
01/2 BATHS
School Ratings & Info
Description
This commercial lot has double frontage on Loop 567 as well as Camp Crucis Ct. and is part of a recently platted Subdivision known as Crucis Creek Addition. There are 305 SINGLE FAMILY LOTS platted immediately behind this property WHICH IS AVAILABLE AS WELL. This location is grandfathered for City water and sewer.
© 2025 North Texas Real Estate Information Systems. All rights reserved. IDX information is provided exclusively for consumers' personal, non-commercial use and may not be used for any purpose other than to identify prospective properties consumers may be interested in purchasing. Information is deemed reliable but is not guaranteed accurate by the MLS or Berkshire Hathaway HomeServices Ally Real Estate. The data relating to real estate for sale or lease on this web site comes in part from NTREIS. Real estate listings held by brokerage firms other than Berkshire Hathaway HomeServices Ally Real Estate are marked with the NTREIS logo or an abbreviated logo and detailed information about them includes the name of the listing broker. Data last updated 2025-11-16T23:41:37.62.

Listing information © 2025 North Texas Real Estate Information System.