Description
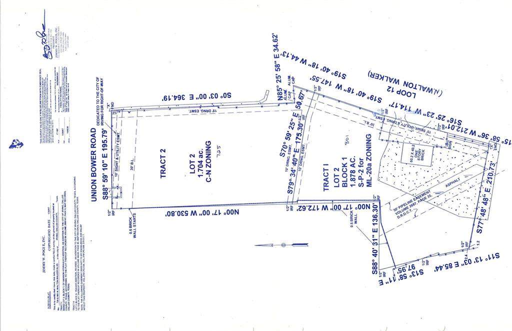
Seller is selling two parcels together1. HANNON HYDRAULICS BLK 1 LT 2 ACS 1.878 tax id 32-16470-001-002-00002.YEAGER REV BLK A LT 2 ACS 1.704tax id 32-60768-00A-002-0000Parcel #1 has an office building of approximately 2400 Square Feet built in 1984. Steel ConstructionParcel #2 is a vacant lot adjacent to parcel #1. Address is 725 East John Carpenter Freeway, also has frontage on Union Bower
-
0BEDS
-
1.88ACRES
-
0BATHS
-
01/2 BATHS
School Ratings & Info
Description
Seller is selling two parcels together1. HANNON HYDRAULICS BLK 1 LT 2 ACS 1.878 tax id 32-16470-001-002-00002.YEAGER REV BLK A LT 2 ACS 1.704tax id 32-60768-00A-002-0000Parcel #1 has an office building of approximately 2400 Square Feet built in 1984. Steel ConstructionParcel #2 is a vacant lot adjacent to parcel #1. Address is 725 East John Carpenter Freeway, also has frontage on Union Bower
© 2025 North Texas Real Estate Information Systems. All rights reserved. IDX information is provided exclusively for consumers' personal, non-commercial use and may not be used for any purpose other than to identify prospective properties consumers may be interested in purchasing. Information is deemed reliable but is not guaranteed accurate by the MLS or Berkshire Hathaway HomeServices Ally Real Estate. The data relating to real estate for sale or lease on this web site comes in part from NTREIS. Real estate listings held by brokerage firms other than Berkshire Hathaway HomeServices Ally Real Estate are marked with the NTREIS logo or an abbreviated logo and detailed information about them includes the name of the listing broker. Data last updated 2025-11-10T14:45:44.31.

Listing information © 2025 North Texas Real Estate Information System.