Description
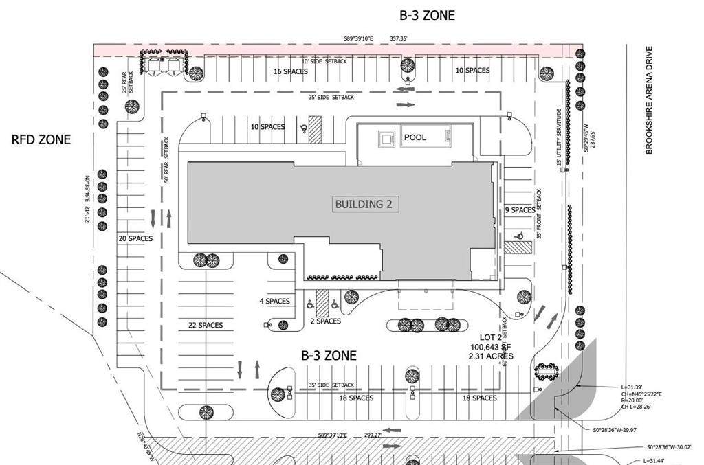
Great Location! This location designated for Hotel. Site plan recently revised to include larger hotel and more surrounding parking. Planned Development with 2.31 acres approved to build. World class billiards hall on-site and will host monthly and quarterly competitions...some televised. Civil Engineering plans, water, sewer, electric, and communications are done for you. Architectural plans can be provided if needed. Purchase land and build it or contract the developer to build it for you. Call us to discuss it today!
-
0BEDS
-
2.31ACRES
-
0BATHS
-
01/2 BATHS
School Ratings & Info
Description
Great Location! This location designated for Hotel. Site plan recently revised to include larger hotel and more surrounding parking. Planned Development with 2.31 acres approved to build. World class billiards hall on-site and will host monthly and quarterly competitions...some televised. Civil Engineering plans, water, sewer, electric, and communications are done for you. Architectural plans can be provided if needed. Purchase land and build it or contract the developer to build it for you. Call us to discuss it today!
© 2025 North Texas Real Estate Information Systems. All rights reserved. IDX information is provided exclusively for consumers' personal, non-commercial use and may not be used for any purpose other than to identify prospective properties consumers may be interested in purchasing. Information is deemed reliable but is not guaranteed accurate by the MLS or Berkshire Hathaway HomeServices Ally Real Estate. The data relating to real estate for sale or lease on this web site comes in part from NTREIS. Real estate listings held by brokerage firms other than Berkshire Hathaway HomeServices Ally Real Estate are marked with the NTREIS logo or an abbreviated logo and detailed information about them includes the name of the listing broker. Data last updated 2025-11-10T14:45:44.31.

Listing information © 2025 North Texas Real Estate Information System.